1. トップ
  2. 恋愛
  3. シャチの社会にはオス若衆の争いを抑止する大ババ様がいた!

シャチの社会にはオス若衆の争いを抑止する大ババ様がいた!

  • 2025.5.18
おばあさんシャチがいると息子たちのケガが大幅に減少していた!
おばあさんシャチがいると息子たちのケガが大幅に減少していた! / Credit: canva

シャチ社会において、大ババ様の権力は偉大なようです。

海の頂点捕食者であるシャチは、サメでさえ近づきもできませんが、同種間の争いで体に傷を負うことがあります。

しかし英エクセター大学(University of Exeter)、ヨーク大学(University of York)の研究で、閉経後の年老いたメスがリーダーとして君臨するグループでは、オスの傷痕が大幅に少ないことが判明したのです。

大ババ様が目を光らせている内は、若い衆もケンカができないのかもしれません。

研究の詳細は、2023年7月20日付で科学雑誌『Current Biology』に掲載されています。

目次

  • 閉経後のシャチはどんな役割を果たしているのか?
  • 娘たちを守ると逆に「負担」が増える?

閉経後のシャチはどんな役割を果たしているのか?

シャチのグループは主に、母親を中心とした血縁関係のある家族で構成される「母系社会」です。

数頭から数十頭ほどの群れを作り、オスは一生を同じグループの中で過ごします。

メスは生まれ育ったグループを離れて、新たに自らのグループを作ることがありますが、基本的に群れを離れるケースは少ないです。

シャチの群れ
シャチの群れ / Credit: ja.wikipedia

群れのリーダーであるメスは30代〜40代で閉経し、子供を産めなくなりますが、その後も平均して20年以上生きられます。

多くの人はこの事実をそれほど不思議に感じないかもしれませんが、自然界では閉経を経験する動物は珍しい存在です。

生物学的に繁殖できなくなったメスの役割は特に無いため、動物のメスは繁殖能力の喪失と寿命が一致しています。

そのため、閉経する動物は人間を除けば、シャチと数種のクジラだけです。

しかし閉経後もこれだけ長く生きるということは、年老いたシャチのメスには何らかの重要な役割があると考えられます。

そこで研究チームは今回、閉経後のシャチがいることで子孫が受けるメリットを調べることにしました。

子孫たちの喧嘩を止めている可能性

チームが注目したのは、グループ内のシャチの体に見られる傷痕の多さです。

頂点捕食者であるシャチが他の生物に手を出されることはありませんが、グループ内外の争いによって頻繁に怪我をします。

本研究では、北米太平洋岸に住むシャチのグループを監視し続けている米クジラ研究センター(Center for Whale Research)が収集した過去47年分のデータを分析しました。

具体的には、閉経後のメスがリーダー・繁殖できるメスがリーダー・メスのリーダーがいない3つの群れを対象に、グループ内のシャチたちの傷痕を調査。

その結果、閉経後のメスがリーダーの群れでは、グループに属するオスの子孫の傷痕が大幅に少ないことが判明したのです。

他の2グループに比べ、平均して35%も傷が少なくなっていました。

閉経後のメス(ピンク)、繁殖中のメス(黄)、オス(青)、他の個体(オレンジ)
閉経後のメス(ピンク)、繁殖中のメス(黄)、オス(青)、他の個体(オレンジ) / Credit: Charli Grimes et al., Current Biology(2023)

一方で、繁殖できるメスがリーダーの場合とそうでない場合では、子孫の傷痕の多さは変わりませんでした。

これは閉経後のメスがグループ内外における子供や孫たちの争いを抑制する働きをしていることを示唆します。

研究主任のチャーリー・グライムス(Charli Grimes)氏は「おそらく出産の負担がなくなったことで、子供たちを守るための時間とエネルギーが解放されるのでしょう」と見解を述べました。

ところが不思議なことに、傷痕の減少効果はグループ内のオスだけに見られ、メスの子孫では確認されなかったのです。

つまり、閉経後のメスは息子たちだけを優先的に守り、娘たちは無視していることを意味します。

一体なぜでしょうか?

娘たちを守ると逆に「負担」が増える?

研究者らは閉経後のメスが娘を守らない理由について「進化的な理由がある」と考えます。

シャチが目指すのは、あらゆる動物と同じく”種の繁栄”です。

そのためには子供たちを立派に育て上げて、新たに子孫を増やしてもらう必要がありますが、オスが繁殖する場合、他のグループのメスと交尾して、そこに子種を置いて戻ってきます。

つまり、グループ内のオスの繁殖行動は自分の血を継ぐ子孫を増やしながらも、子育ての負担は発生しないのです。

ここに彼女らがオスの子供たちだけを大切に保護するメリットがあります。

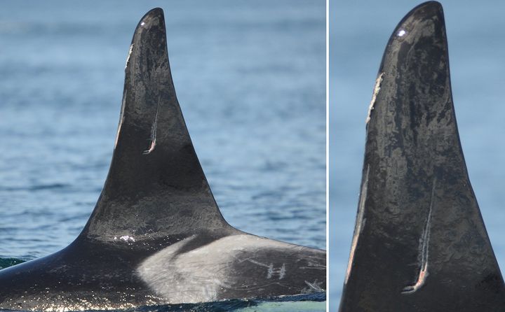
シャチの背ビレに見られる傷痕
シャチの背ビレに見られる傷痕 / Credit: Charli Grimes et al., Current Biology(2023)

対して、娘たちがあまりにたくさんの子供を産んでしまうと、その分の世話や教育の負担が非常に増えてしまいます。

それゆえ閉経後のメスは娘を積極的に守ろうとはしないのです。

逆に娘たちには「早く自立して出ていってほしい」と考えているくらいかもしれません。

本研究の成果は、シャチが閉経後も長く生きる新たな理由の一つとなるでしょう。

これまでの研究で、年老いたメスのシャチはグループが食糧難に陥った際に、年寄りの知恵を使って、子孫たちに食料が得られる場所を教えることが知られています。

私たち人間社会と同じように、シャチの世界でも「おばあちゃん」の存在が大切な役割を果たしているようです。

参考文献

Male killer whales protected by post-menopause mothers
https://news.exeter.ac.uk/faculty-of-health-and-life-sciences/male-killer-whales-protected-by-post-menopause-mothers/

Killer whale mothers protect their sons from injury in the years post menopause
https://www.earth.com/news/killer-whale-mothers-protect-their-sons-from-injury-in-the-years-post-menopause/

元論文

Postreproductive female killer whales reduce socially inflicted injuries in their male offspring
https://www.cell.com/current-biology/fulltext/S0960-9822(23)00824-2

ライター

大石航樹: 愛媛県生まれ。大学で福岡に移り、大学院ではフランス哲学を学びました。 他に、生物学や歴史学が好きで、本サイトでは主に、動植物や歴史・考古学系の記事を担当しています。 趣味は映画鑑賞で、月に30〜40本観ることも。

編集者

ナゾロジー 編集部

元記事で読む
の記事をもっとみる