1. トップ
  2. 恋愛
  3. 【五大湖のヌシ】ケネディ時代から生きる最長齢のイワナ「メアリー・キャサリン」

【五大湖のヌシ】ケネディ時代から生きる最長齢のイワナ「メアリー・キャサリン」

  • 2025.8.20
※ 画像はイメージです/ Credit:Generated by OpenAI’s DALL·E,ナゾロジー編集部

アメリカ五大湖の最大湖・スペリオル湖で、62歳のレイクトラウト(イワナ属、学名 Salvelinus namaycush)が確認されました。

愛称は「メアリー・キャサリン(Mary Catherine)」

彼女が生まれたのはジョン・F・ケネディ大統領がまだ在任していた頃で、以降15回の夏季五輪をくぐり抜けてきた“湖の長老”です。

体格は平凡でも、年齢は五大湖史上の記録級。

どのように見つかり、なぜこんなに長生きできたのでしょうか。

目次

  • 五大湖で最長齢のイワナを発見
  • なぜ長生きできるのか?

五大湖で最長齢のイワナを発見

発見された五大湖のヌシ/ Credit: Michigan Department of Natural Resources

2023年秋、米ミシガン州天然資源局(DNR)を中心とした研究チームが、カナダ領のカリブー島リーフ群(Caribou Island Reef complex)で調査を実施しました。

目的は、スペリオル湖の沖合リーフに棲むレイクトラウトの系統、とりわけ「ハンパー・レイクトラウト」と呼ばれる亜種群の生態、とくに繁殖生物学を詳しく理解することにありました。

チームがクロンダイク・リーフ(Klondike Reef)で網にかけた1匹は、第一印象こそ“ごく普通”。

体重約2.1キロ、全長約60センチ強で、DNRの最大サイズ記録には遠く及びません。

しかし場所は、人里離れた沖のカナダ国境近く――ミシガン州アッパー半島の町グランドマレーの北約40マイルという僻地。

そこでこの魚の「正体」が明らかになります。

耳石(じせき)の中の“年輪”を数えたところ、なんと少なくとも62歳に達していることが判明したのです。

五大湖で確認されたレイクトラウトとして、これまでで最長齢と判断されたのです。

一般にスペリオル湖のレイクトラウトの寿命は25〜30年ほど。

過去の最長記録は、27年以上前にウィスコンシン州天然資源局が報告した42歳でした。

記録を20年分も上回る今回の個体は、異例中の異例と言えます。

なお「メアリー・キャサリン」という愛称は、彼女の生年にちなむもの。

1961年の米国で最も人気だった女の子の名前が“メアリー”だったことから名付けられています。

なぜ長生きできるのか?

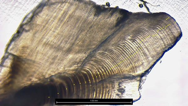
耳石の年輪/ Credit: Michigan Department of Natural Resources

木の年輪で樹齢を読むように、魚の年齢は耳の奥にある「耳石(じせき)」で推定します。

耳石は炭酸カルシウムからなる小さな“耳の石”で、成長とともに層が重なり、冬ごとに輪が1本ずつ増えます。

今回の個体では、この輪が62本。

長寿魚では耳石が最も確からしい指標です。

一方、寿命の短い魚では、背びれの棘やウロコの年輪を読む手法がよく使われます。

では、なぜレイクトラウトはここまで長生きできるのでしょうか。

鍵は、スペリオル湖という“やせた”生態系にあります。

平均水面温度は摂氏約4度、平均水深は約147メートル。

栄養塩が少ない低生産性の水域では、生き物は「ゆっくり育ち、長く生きる」戦略を取りやすくなります。

サケのように「数年でふ化→回遊→産卵→死亡」という急ぎ足の一生ではなく、レイクトラウトは沖合のリーフ周りで“スロー&ステディ”に時間をかけて生きるのです。

ただし、これは裏を返せば“回復の遅さ”も意味します。

1950年代、商業漁業に加えて外来のヤツメウナギがトラウトを吸血・捕食したことで、スペリオル湖のレイクトラウトは壊滅的な打撃を受けました。

成長と世代交代に時間がかかるため、一度崩れた個体群の立て直しには長い年月を要します。

実際、各国・各レベルの行政や研究機関の手で対策が積み重ねられ、改善が実感できるようになるまでにおよそ70年を必要としました。

その粘り強い保全の積み重ねが実り、2024年には米加の地方・州・連邦機関のコンソーシアムが「スペリオル湖のレイクトラウト個体群はリハビリ(再生)が完了した」と宣言。

DNRはこれを「淡水漁業管理における最大級のカムバック・ストーリー」と表現しています。

記録的な長寿個体「メアリー・キャサリン」の存在は、単なる珍記録にとどまらず、湖そのものの回復力と人間の保全努力の成果を象徴しているのです。

参考文献

Meet Mary Catherine, the Great Lakes’ oldest-known trout
https://www.popsci.com/environment/oldest-known-trout-great-lakes/

ライター

千野 真吾: 生物学に興味のあるWebライター。普段は読書をするのが趣味で、休みの日には野鳥や動物の写真を撮っています。

編集者

ナゾロジー 編集部

元記事で読む
の記事をもっとみる